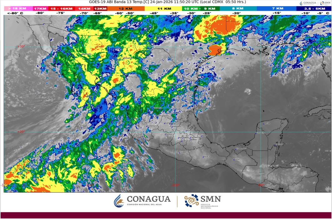
Este sábado 24 de enero de 2026, el noroeste de México se encuentra bajo los efectos críticos de la tercera tormenta invernal de la temporada. La interacción de este sistema con el frente frío número 31, la masa de aire ártico del frente número 30 y el arrastre de humedad de un río atmosférico, mantendrá un ambiente gélido, vientos intensos y lluvias significativas en gran parte del norte del país.
Nieve, aguanieve y lluvia
Las condiciones para la caída de nieve son generalizadas en las zonas montañosas del norte. El Servicio Meteorológico Nacional (SMN) advierte sobre:
- Nevadas: Se pronostica caída de nieve o aguanieve en las sierras de Baja California, Sonora, Sinaloa, Chihuahua, Durango y Coahuila.
- Fenómeno especial: Se espera la formación de lluvia durante la noche en el estado de Zacatecas, lo que representa un riesgo extremo para la circulación vehicular.
Pronóstico de lluvias
El río atmosférico potenciará las precipitaciones, elevando el riesgo de inundaciones y encharcamientos:
- Intensas (75 a 150 mm): Durango.
- Muy fuertes (50 a 75 mm): Baja California Sur, Sonora, Sinaloa y Chihuahua.
- Fuertes (25 a 50 mm): Baja California, Coahuila y Nayarit.
- Chubascos: Nuevo León, Tamaulipas, Zacatecas, Jalisco y Oaxaca.
Temperaturas gélidas y heladas
El termómetro registrará valores peligrosos en las zonas altas, especialmente durante la madrugada y noche:
| Rango de Temperatura | Entidades Afectadas (Zonas Serranas) |
| -10 a -5 °C | Chihuahua y Durango. |
| -5 a 0 °C | Baja California, Sonora, Coahuila, Nuevo León, San Luis Potosí, Zacatecas, Hidalgo, Edomex, Tlaxcala, Puebla, Veracruz y Oaxaca. |
| 0 a 5 °C | Aguascalientes, Jalisco, Michoacán, Guanajuato, Querétaro y Ciudad de México. |
Situación en la Mesa Central y Puebla
Para el centro del país, el ambiente persistirá de frío a muy frío con bancos de niebla matutinos:
- Puebla: Se prevé un ambiente muy frío con heladas en sierras y probabilidad de lluvias aisladas.
- Vientos: Rachas de 50 a 70 km/h en Guanajuato y de hasta 50 km/h en Querétaro. En el Valle de México y Puebla, los vientos serán más moderados, con rachas de hasta 30 km/h.
Te puede interesar: SEP suspende clases en escuelas de las sierras Norte y Nororiental por bajas temperaturas
