Nacionales
24/10/202224/10/2022
Murillo Karam continúa en terapia intensiva
24/10/202224/10/2022
Jueza frena transferencia de la Guardia Nacional a la Sedena
24/10/202224/10/2022
AMLO: “dan risa” declaraciones de Zedillo y Calderón
24/10/202224/10/2022
Fiscalía de Sonora presume error en asesinato de novio en Caborca
23/10/202223/10/2022
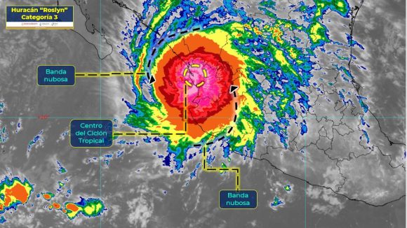
Huracán Roslyn se degradó a categoría 1 y permanece en tierra
23/10/202223/10/2022
Asesinan a novio al salir de la iglesia tras su boda en Caborca
23/10/202223/10/2022
Huracán Roslyn categoría 3, tocó tierra en Nayarit
22/10/202222/10/2022












